خبير: لا وجود لأي تأثير على اليمن من إعصار شيدو
منبر عدن - متابعات
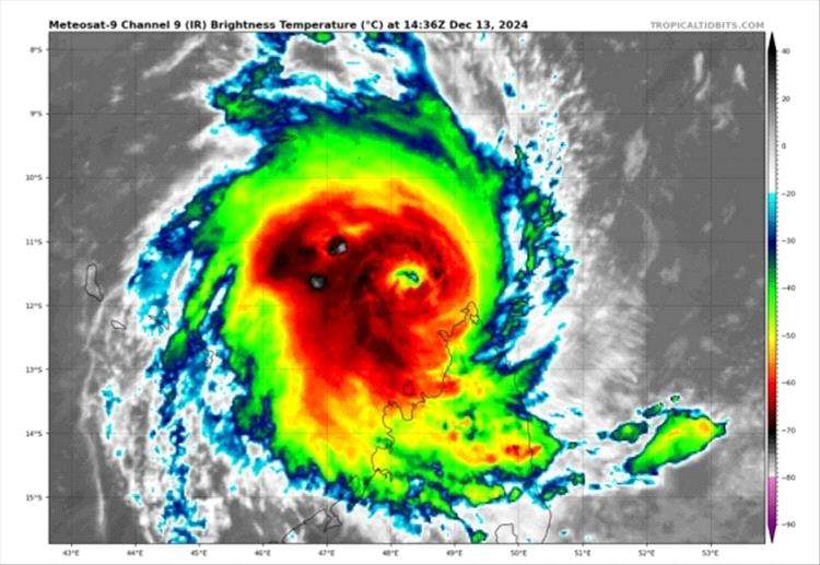
استبعد خبير الأرصاد الجوية جميل الحاج، وجود أي تأثيرات على اليمن من الإعصار الذي ضرب شمال مدغشقر.
وقال في منشور بصفحته على موقع التواصل الاجتماعي فيس بوك، إن الإعصار شيدو ضرب شمال مدغشقر بقوة سوبر إعصار من الدرجة الرابعة بسرعة دوران رياح 125 عقدة بالساعة.
وأضاف: "كما تراجع إلى الدرجة الثالثة بسرعة دوران رياح 115 عقدة بالساعة ويتجه نحو دول شرق أفريقيا، وليس له تأثير على اليمن.

